Hala na wynajem Szczecin, Załom

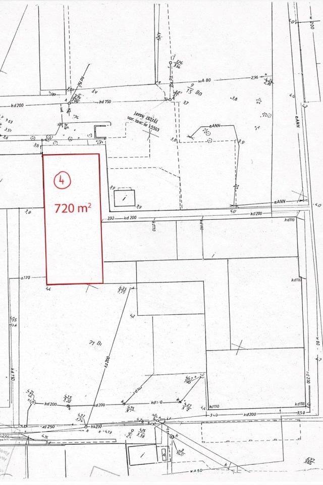
720.00 m²
20,00 zł/m2
AHO-HW-283

14 400 zł

Hala na wynajem
Nowa oferta

Szczegóły oferty

Symbol oferty AHO-HW-283
Powierzchnia 720,00 m²
Powierzchnia działki [m2] 10 000 m²
Standard
Opłaty w czynszu monitoring, Części wspólne, administracja
Opłaty wg liczników woda, prąd
Typ kaucji jednomiesięczna
Zagosp. działki zagospodarowana
Ukształtowanie działki płaska
Kształt działki prostokąt
Przeznaczenie hali produkcyjno-magazynowy
Czynsz najmu netto /m2 20 PLN
Ogrzewanie centralne
Alarm tak
Położenie teren przemysłowy
Plac utwardzany tak

Opis nieruchomości

Do wynajęcia nowoczesne hale przemysłowo-magazynowe o powierzchni od 720 do 3162 m², zlokalizowane w doskonale skomunikowanym miejscu, z szybkim dostępem do głównych tras i obwodnicy.
Obiekty idealnie nadają się pod działalność logistyczną, magazynową, produkcyjną, a także projekty wymagające specjalistycznych warunków (chłodnie, mroźnie, e-commerce).


OPIS:

  • dostępne moduły: od 720 m² do 3162 m²,
  • konstrukcja stalowa, hale bezsłupowe w kluczowych częściach,
  • wysokość użytkowa ok. 6 m,
  • posadzka przemysłowa o nośności 5 t/m²,
  • świetliki dachowe oraz energooszczędne oświetlenie LED,
  • bramy z poziomu „0” oraz doki rozładunkowe,
  • dostępne wszystkie media: prąd (moc do ustalenia), woda, kanalizacja, ogrzewanie (gazowe lub nadmuchowe), światłowód,
  • teren ogrodzony, monitorowany, z kontrolą dostępu,
  • szerokie drogi wewnętrzne oraz duży plac manewrowy dla TIR,
  • zaplecze socjalno-biurowe w każdym module (różne konfiguracje),
  • możliwość instalacji dodatkowych rozwiązań (np. sprężone powietrze),
  • dostępność powierzchni do uzgodnienia.

DOSTĘPNE POWIERZCHNIE:

  • 2980 m² – w tym 419 m² biur, 8 bram „0”, 2 doki, instalacja sprężonego powietrza,
  • 2039 m² – 288 m² biur, 4 bramy „0”, 2 doki,
  • 1762 m² – 288 m² biur, 4 bramy „0”, 1 dok,
  • 1566 m² – 288 m² biur, 5 bram „0”, 2 doki,
  • 1412 m² – 175 m² biur, 4 bramy „0”, 1 dok,
  • 1135 m² – 175 m² biur, 4 bramy „0”, 1 dok,
  • 940 m² – 175 m² biur, 4 bramy „0”, 1 dok,

Hala produkcyjno-magazynowa 3162 m²:

  • 280 m² biur,
  • 1270 m² chłodni/mroźni (z możliwością adaptacji),
  • 1722 m² magazynu,
  • 2 bramy „0”, 3 doki,

Mniejsze moduły:

  • 1800 m² – 170 m² biur, 1 brama „0”, 3 doki,
  • 1041 m² – 110 m² biur, brama „0” + rampa,
  • 997 m² – 110 m² biur, 2 bramy „0”,
  • 720 m² – 110 m² biur, 1 brama „0”.

LOKALIZACJA:

Nieruchomość położona w bardzo dobrze skomunikowanej lokalizacji, z szybkim dostępem do głównych tras krajowych i obwodnicy. Dogodne położenie zapewnia sprawną logistykę oraz wygodny dojazd dla pracowników i transportu ciężarowego.


ATUTY:

  • nowoczesne hale o uniwersalnym zastosowaniu,
  • szeroki wybór metraży i elastyczne konfiguracje,
  • możliwość prowadzenia działalności magazynowej, produkcyjnej i logistycznej,
  • dostępność chłodni i mroźni,
  • bardzo dobre warunki dla transportu TIR,
  • możliwość dostosowania powierzchni do potrzeb najemcy,
  • bezpieczny, ogrodzony i monitorowany teren.

Istnieje możliwość wynajęcia zarówno całych hal, jak i mniejszych modułów – z dopasowaniem powierzchni do indywidualnych potrzeb najemcy.

Nieruchomość wynajmowana na fakturę VAT.
 

Zapraszam do kontaktu oraz umówienia prezentacji!

Lokalizacja nieruchomości

Proszę wprowadzić poprawne imię i nazwisko
Proszę wprowadzić poprawny numer telefonu
Proszę wprowadzić poprawny adres e-mail
Proszę zaznaczyć wymagane zgody
Rozwiąż równanie:
26 9
Niepoprawny wynik